15
nových článků - klikněte pro zobrazení

Výsledky hledání “v kterém roce vznikla česká národní banka

Boston schytal debakl s Ottawou 2:7, Pastrňák si připsal pouze jednu střelu

28.října » Ruik.cz
Boston Bruins se pořádně trápí. Tým českých hokejistů Davida Pastrňáka a Pavla Zachy sbírá jednu porážku za druhou a v noci si připsal debakl na půdě Ottawy Senators 2:7. Samotný Pastrňák pak v zápase pouze jednou vystřelil na bránu, což dokonale vypovíd…

To, že „není na důchody“ je problém špatné rodinné politiky. Nikoli důchodců

28.října » Seznam Médium
Populace „stárne“, mnozí odborníci se na televizních obrazovkách předhánějí ve vyjádřeních o tom, jak si nemůžeme tak vysoké důchody dovolit.

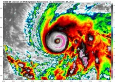
Hurikán Melissa stále zesiluje, přitom už je na nejvyšším stupni Saffir-Simpsonovy stupnice, rychlost větru poblíž jeho středu se pohybuje kolem těžko představitelných 280 km/h

28.října » Kurzy.cz
Hurikán Melissa stále zesiluje, přitom už je na nejvyšším stupni Saffir-Simpsonovy stupnice, rychlost větru poblíž jeho středu se pohybuje kolem těžko představitelných 280 km/h. Při pohledu z družice je jasně patrné oko uprostřed hurikánu

Na Oneplay míří něco tak bezvýznamné, jako je fotbal a Štěstíčku naproti

28.října » KINOTIP2.cz
Poslední říjnový den můžete na Oneplay najít šestidílný zajímavý počin týkající se fotbalu. Něco tak bezvýznamné! Snad kvůli Aleně, která tohle v traileru pronáší tak parádním tónem, se na Štěstíčku naproti (2025) podívají i nefanoušci fotbalu.

Do Prahy vtrhne divoká oslava svátku mrtvých Día de los Muertos. K českým Dušičkám má opravdu daleko

28.října » Metro
Víte, co mají společného ofrenda, papel picado nebo třeba pes Xoloitzcuintle? Všechny tyto symboly patří k Mexiku a k mexickému svátku mrtvých Día de los Muertos, který se v pražské Holešovické tržnici uskuteční už ve čvrtek 30. října. A právě tyto symbo…

Totál talkshow o fascinujícím houbovesmíru

29.října » Radio Junior
Slyšeli jste už někdy o mykokosmu? A víte, co by se stalo, kdyby na naší planetě nebyly žádné houby?

Umění pobouřit. Když výtvarná díla provokují

28.října » ČRo
O kontroverzních výtvarných dílech debatují historička umění Milena Bartlová a filozof jazyka Tomáš Koblížek, moderuje Saša Michailidis.

© 2000-2025 ANNECA s.r.o., Klíšská 977/77, 400 01 Ústí nad Labem, Tel: +420 478571021, Email: info@pravednes.cz, Twitter: @pravednes